octubre 2025
Masters 1000 de París hoy: partidos y cómo está el cuadro
Este miércoles continúa la actividad en la edición 2025 del Masters 1000 de París. Se disputan 12 partidos, todos correspondientes…
Se aprobó el primer fármaco no hormonal para tratar menopausia y sofocos
La Administración de Alimentos y Medicamentos de Estados Unidos (FDA, por sus siglas en inglés) aprobó este martes un medicamento…
Son dueños de un gimnasio y un chiste disparó una inédita creación mundial
CÓRDOBA.- Las nuevas propuestas en torno a la yerba mate se multiplican, pero Pro Mate ofrece tecnología alimentaria avanzada aplicada…
Regatas sumó su segunda victoria en la Sudamericana
El Remero consiguió un triunfazo ante Leones de Chile. Fue por 67 a 55 con Corbalan nuevamente como figura. Este…
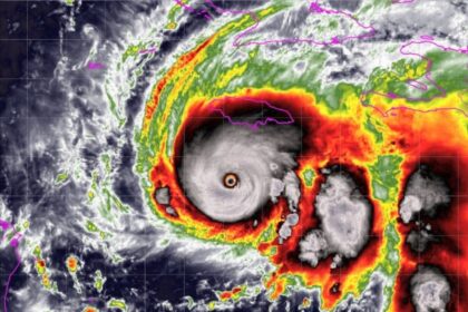
Huracán Melissa de categoría 5: última hora, impacto en Jamaica y trayectoria minuto a minuto, este martes 28
El huracán Melissa, de categoría 5, tocó tierra en Jamaica el martes con ráfagas de hasta 295 km/h, y obligó tanto…
“Invertir en salud es prevenir”: Raúl Mantilla, de Jerárquicos Salud, explica los beneficios de una cobertura integral
Jerárquicos Salud continúa expandiendo su presencia en la provincia de Corrientes. En diálogo con nuestro medio, Raúl Mantilla, broker de…
Carlos Santamaría: su gran historia de amor, las pasiones que le arrancaron lágrimas y el recuerdo de Vinicius de Moraes
>LA NACION>Espectáculos>Personajes29 de octubre de 202506:028 minutos de lectura'Con la merma de la ficción en nuestro país, Carlos Santamaría se…
La Parroquia Santa Rita de Casia avanza con obras y proyectos comunitarios
En un ambiente de fe, trabajo y compromiso comunitario, el párroco Padre José Eduardo Ortiz nos recibió en la Parroquia…
La Orquesta Sinfónica de Prefectura Naval Argentina presenta “Sinfonía del Río” en el Teatro Vera
Será el domingo 16 de noviembre en el Teatro Oficial Juan de Vera, desde las 20.30 con Jorge Suligoy como…
“En noviembre el aumento será del 2,1%, acompañado por un bono de $70.000 para jubilados”
Santiago Martínez Soler, jefe de la oficina de ANSES Esquina, quien brindó detalles sobre aumentos, los bonos para jubilados y…

